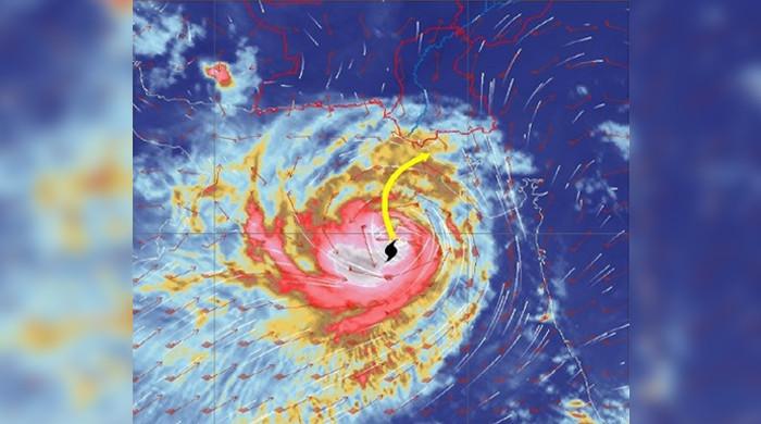
HomeNationalSea level rises as Karachi starts witnessing impacts of cyclone Biparjoy Sea level rises as Karachi starts witnessing impacts of cyclone Biparjoy 0 MAH NEWZ June 12, 2023 Cyclone has now moved to about 470km south of Karachi, 460km south of Thatta from The News International - National https://ift.tt/TPr0AEo Tags National Newer Older